Skip to main content
Die Website für zeitgemäße Kaninchenhaltung

Thymom und Lymphom beim Kaninchen (präkardiale Masse)

Tumore im Brustkorb, meist Thymome, seltener Lymphome, gehören zu den wohl am meisten gefürchteten Erkrankungen des Kaninchens. Dies hat mehrere Gründe:

  • Unabhängig von Rasse, Geschlecht, Fütterung, Haltung und allgemeinem Gesundheitszustand kann jedes Tier betroffen sein, meist im mittleren bis hohen Alter.
  • Es gibt keinerlei Möglichkeiten einer Prophylaxe.
  • Es gibt keinerlei Heilungschancen, sondern lediglich palliative Therapien.
  • Auch während der Palliativtherapie kann es – entweder durch die Medikamente oder den Tumor selbst – zu so schweren Symptomen kommen (Zerstörung des Immunsystems, Herzerkrankungen, Leberversagen, kompletter Haarverlust, chronische Hautentzündungen, …), dass die Tiere massiv darunter leiden, daran versterben oder euthanasiert werden müssen.
  • Meist wird der Tumor erst in weit fortgeschrittenem Stadium entdeckt, sodass dem Tier auch mit einer Palliativtherapie oft nicht mehr viel Zeit geschenkt werden kann.
  • Da der Tumor in jedem Fall weiterwächst, muss der richtige Zeitpunkt für die Euthanasie gefunden werden, um dem Tier schwere Atemnot und einen schlimmen Tod zu ersparen.

Ursachen von Thymom und Lymphom

  • tumoröse Entartung des Thymus oder Lymphgewebes
Mehr…

Ein Thymom bezeichnet die Entartung von Thymus-Zellen. Der Thymus ist ein Organ des Immunsystems, welches nur in der Kindheit von Bedeutung ist und sich anschließend zurückbildet. Beim Kaninchen erfolgt diese Rückbildung allerdings nur unvollständig.

Die Überbleibsel können entarten und zur Tumorbildung führen. Die Tumore sind in der Regel gutartig, es handelt sich also nicht um Krebs. Das Problematische ist vor allem ihr Wachstum, da sie hierdurch immer mehr Lungenvolumen einnehmen, zunehmend auf Herz und Luftröhre drücken und somit früher oder später zu Symptomen und zum Tod führen.

Knapp 10 % aller Kaninchen ab sechs Jahren leiden an einem Thymom!

Das bösartige Thymuskarzinom kommt nur selten vor.  

Beim Lymphom handelt es sich um einen entarteten Lymphknoten. Es kann sowohl gutartig als auch bösartig sein und überall dort auftreten, wo sich Lymphknoten im Körper befinden. Tritt es im Brustkorb auf, führt es zum selben Krankheitsbild wie das Thymom. In aller Regel betrifft ein Lymphom nicht ausschließlich den Thymus, sondern den gesamten Organismus.

Weniger…


Symptome bei Thymom und Lymphom

  • Nickhautvorfall
  • sichtbare Skleren
  • beidseitig hervortretende Augäpfel (beidseitiger Exophthalmus)
  • Beschwerden beim Ausatmen; pumpende / inverse Atembewegungen
  • Blähen der Nasenflügel
  • Im Endstadium Symptome hochgradiger Atemnot (Emporstrecken des Kopfes, Maulatmung, blaue Schleimhäute, ...)
  • geringe Belastbarkeit
  • Haarverlust mit Schuppenbildung
Mehr…

Überraschenderweise führen Tumore im Brustkorb oft als erstes zu Symptomen an den Augen. Dies liegt daran, dass sie Druck auf die beidseits vom Kopfbereich zum Herzen verlaufenden Vene (Vena cava cranialis) ausüben. In der Folge staut sich das Blut in den hinter dem Augapfel befindlichen Venenplexus zurück. Dadurch kann es zu einem Vorfall des 3. Augenlides, zum Sichtbarwerden der Skleren („des Weißen im Auge") oder zu beidseitig vorstehenden Augäpfeln (sogenanntem Exophlthalmus; von vorne mehr oder weniger gut sichtbar) kommen. 

Diese für den Laien oft harmlos wirkenden Symptome sollten immer als Alarmsignal aufgefasst werden, dessen Ursache es zügig abzuklären gilt. Nur auf die Weise ist eine frühzeitige Behandlung möglich.

Durch Druck auf Lungen und Luftröhre führt das Thymom / Lymphom in fortgeschrittenem Stadium meist zu Atembeschwerden. Diese äußern sich anfangs oft lediglich in einer verminderten Aktivität des Tieres und veränderten Atembewegungen. Dabei wirkt die Atmung "pumpend"; die Phase des Ausatmens ist verlängert, da das Kaninchen Mühe hat, die eingeatmete Luft wieder aus seinen Lungen zu "pressen". Die Nasenflügel werden mit jedem Atemzug sichtbar gebläht.

Auch reagieren betroffene Tiere mitunter empfindlicher als sonst auf Stress und Hitze. Verschlimmern sich die Beschwerden, werden die Symptome deutlich sichtbar, die Tiere stehen vorne breitbeinig, atmen deutlich angestrengt mit geblähten Nasenflügeln, mitunter hochgestrecktem Kopf und – bei akut lebensbedrohlicher Luftnot – Maulatmung.

All diese Symptome sind allerdings auch typisch für Herzerkrankungen. Herzprobleme treten entweder isoliert auf oder sind die Folge eines Tumors in unmittelbarer Herznähe.

Haut- und Fellsymptome können in Form einer sogenannten exfoliativen Dermatitis auftreten (auch als paraneoplastisches Syndrom bezeichnet) auftreten. Dabei kommt es zu Haarausfall und Schuppenbildung. Ein Juckreiz ist im Normalfall nicht zu beobachten. Insbesondere, wenn bei einem Kaninchen mit derartigen Symptomen keine Parasiten oder Pilzerkrankungen nachgewiesen werden können, sollte ein Thymom oder Lymphom als Ursache in Betracht gezogen werden.

Weniger…


Diagnose von Thymom und Lymphom

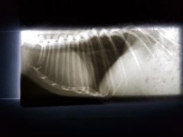
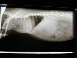
  • Röntgen
  • Ultraschall
  • Biopsie
Mehr…

Ein Kaninchen mit Atembeschwerden oder den beschriebenen Augenveränderungen sollte zunächst geröngt werden. Hierdurch lassen sich Verschattungen im Brustkorb schnell und einfach erkennen und es muss anschließend nur noch ermittelt werden, ob es sich dabei um einen Tumor oder eine (reine) Herzerkrankung handelt. Letztere kann zu einem vergrößerten Herzen oder einem Erguss führen, was per Röntgendiagnostik nicht immer von einem Tumor zu unterscheiden ist.

Besteht eine entsprechende Verschattung, ist ein Herzultraschall angezeigt. Dabei können das Gewebe und die Herzfunktion eindeutig beurteilt werden. Dies ist auch deshalb von Bedeutung, da die Herzfunktion durch einen benachbarten Tumor beeinträchtigt werden kann. In diesem Fall muss das sekundäre Herzproblem in die Tumortherapie miteinbezogen werden.

Steht fest, dass es sich um einen Tumor handelt, ist als weitere Diagnostikmaßnahme das Entnehmen einer Gewebeprobe (Biopsie) möglich. Dies erfolgt in einer kurzen Narkose unter Ultraschallkontrolle. Auf die Weise kann bestimmt werden, um welche Tumorart es sich handelt, was je nach Therapie von Bedeutung sein kann.

Ein Punktat eines Thymoms finden sich vorrangig gleichmäßige, gut differenzierte Lymphozyten.  

Im Falle von Haut- und Fellsymptomen muss in jedem Fall ein Therapieversuch gegen Parasiten erfolgen. Bei ausbleibendem Erfolg ist ein PCR-Test auf Dermatophyten (Hautpilz) möglich, diese kommen beim Kaninchen jedoch nur selten vor.

Thymome und Lymphome können einerseits direkt für die Fellsymptome verantwortlich sein (sogenannte exfoliative Dermatitis), doch auch Milben (insbesondere Raubmilben) und Hautpilzerkrankungen sind mögliche Ursachen. Da sie fast ausschließlich bei immungeschwächten Kaninchen auftreten, sind sie eine mögliche Sekundärerkrankung von Thymom- sowie Lymphompatienten. Es ist also nicht unwahrscheinlich, dass ein Kaninchen sowohl an einer präkardialen Masse als auch an einem Parasitenbefall leidet.

Weniger…


Therapieoptionen bei Thymom und Lymphom

  • Cortison
  • Bestrahlung
  • (Operation)
  • pflanzliche Medikamente
  • Bronchodilatatoren
  • evtl. Herzmedikamente
  • Euthanasie

Steht die Diagnose eines Tumors, sind die Therapiemöglichkeiten sehr begrenzt und führen unter keinen Umständen zu einer Ausheilung.

Mehr…

Eine medikamentöse Therapie erfolgt vor allem mit Cortison (i. d. R. Prenisolon, 2x tgl. 0,5-2 mg / kg s. c. oder p. o.). Meist wird mit einer hohen Dosis begonnen, die anschließend reduziert wird. Cortison kann das Tumorwachstum deutlich hemmen und sich positiv auf einen eventuellen Herzerguss auswirken. 

Allerdings kann Cortison beim Kaninchen auch fatale Folgen haben. Als sogenannte Corticosteroid-sensitive Tierart vertragen sie es allgemein so schlecht, dass sogar lokale Anwendungen (z. B. am Auge oder Ohr) gravierende Nebenwirkungen haben können. Grundsätzlich darf Cortison beim Kaninchen nur eingesetzt werden, wenn es keine andere Chance mehr gibt, dem Tier noch Lebensqualität zu verschaffen oder Lebenszeit zu schenken.

Erstaunlicherweise vertragen gerade Thymom-/Lymphom-Patienten Cortison oftmals über Monate oder sogar Jahre hinweg sehr gut. Einige Tiere reagieren jedoch früher oder später mit Leberversagen oder einem kompletten Kollaps des Immunsystems. Regelmäßige Blutuntersuchungen (v. a. Leberwerte, Differenzialblutbild) sind gerade zu Beginn der Therapie unbedingt empfehlenswert!

Sollte der Tumor zufällig entdeckt werden, ehe er Symptome verursacht (z. B. während einer Röntgendiagnostik, die wegen einer anderen Problematik durchgeführt wird), stellt sich die Frage, ob man das Kaninchen direkt mit Cortison dagegen behandeln sollte – denn einerseits wird der Tumor dadurch bereits im Frühstadium gehemmt und die Lebenszeit des Kaninchens evtl. erheblich verlängert; andererseits besteht das Risiko, dass schwere Nebenwirkungen auftreten und man ihm im Gegenteil Lebensqualität und -zeit nimmt.

Die Bestrahlung ist eine relativ neue und kostspielige Therapiemethode, der viele Besitzer auch aus ethischen Gründen skeptisch gegenüberstehen.

Fakt ist: Sie schlägt in den meisten Fällen gut an und führt zu einer deutlichen Verkleinerung des Thymoms, es kommt in aller Regel nicht zu den oftmals gefürchteten Hautverbrennungen und auch die notwendigen Narkosen werden mit einem guten Management meist problemlos vertragen, die meisten Kaninchen zeigen während des Therapiezeitraumes ein ungestörtes Allgemeinbefinden.

Allerdings führt auch die Bestrahlung weder zu einer Abheilung, noch ist sie frei von Risiken. Es ist nahezu unmöglich, alle Tumorzellen zu „treffen“, insbesondere wegen der unmittelbaren Nachbarschaft zum Herzen und zu den Lungen. Aus demselben Grund können die genannten Organe Strahlenschäden davontragen.

Durch übrig gebliebene Tumorzellen wächst das Thymom / Lymphom i. d. R. binnen 1-2 Jahren wieder nach, falls das Kaninchen so lange überleben sollte. Es ist - wie beim Cortison - auch bei der Bestrahlung möglich, dass sich eine massive Immunschwäche entwickelt und das Kaninchen permanent krank ist, womöglich sogar an einer Sekundärerkrankung verstirbt.

Auch hier stellt sich also die Frage, ob man durch die Bestrahlung nicht mehr verliert, als man gewinnt. Dies sollte sorgfältig abgewogen werden. Unbedingt überprüft werden sollte zudem, ob das Herz bereits Schaden genommen hat, denn in diesem Fall hilft auch die Bestrahlung nicht mehr viel weiter – im Gegenteil können die mehrfachen Narkosen dann zu einer so schweren Mehrbelastung führen, dass die Lebenszeit sich eher verkürzt als verlängert.

Nicht verkehrt sind pflanzliche Medikamente, die das Zellwachstum des Tumors hemmen sollen, beispielsweise die sogenannte Misteltherapie. Die Wirksamkeit dieser Therapie ist allerdings nicht nachgewiesen.

Herzmedikamente sind notwendig, wenn das Herz bereits Schaden genommen hat oder dies in naher Zukunft zu erwarten ist. Besonders häufig kommen Diuretika (Mittel zur Entwässerung, z. B. Furosemid) und Blutdrucksenker (z. B. ACE-Hemmer) zum Einsatz.

Bronchodilatatoren sind Medikamente, die die Bronchien erweitern und dadurch die Atmung erleichtern. Sie können Atembeschwerden bis zu einem gewissen Grad kompensieren und sollten daher eingesetzt werden, sobald erste Symptome einer erschwerten Atmung erkennbar sind. Dazu sollte das Kaninchen täglich sorgfältig beobachtet werden. Geeignet sind Theophyllin (2-3x tgl. 4 mg / kg s. c. oder p. o., z. B. Afpred forte®) und Terbutalin (4-6x tgl. 0,01 mg / kg s. c. - z. B. Bricanyl®).

Eine Operation ist nicht erfolgversprechend; denn auch chirurgisch ist es kaum möglich, alle Tumorzellen zu entfernen, sodass es im Anschluss zu einem neuerlichen Wachstum kommt. Eine Operation am Brustkorb ist ein sehr schwerwiegender Eingriff mit hohem Narkoserisiko und langer Genesungszeit. In Hinblick darauf, dass eine Heilung nicht möglich ist, sollten dem Tier diese Belastung und die damit einhergehenden Schmerzen erspart bleiben.

Eine Euthanasie ist angezeigt, wenn das Kaninchen eine deutlich erschwerte Atmung zeigt, die auch medikamentös nicht mehr erleichtert werden kann. In diesem Fall muss es umgehend erlöst werden, um es vor einem qualvollen Erstickungstod zu bewahren.

Weniger…

Prognose bei Thymom und Lymphom

Die Prognose ist infaust, d.h. die Erkrankung ist nicht heilbar und in jedem Fall zum Tode führend. Durch o.g. Palliativtherapien ist es in vielen Fällen möglich, dem Patienten noch einige Monate oder sogar Jahre Lebenszeit und -qualität zu schenken.


Prophylaxe bei Thymom und Lymphom

Eine Prophylaxe ist nicht möglich.